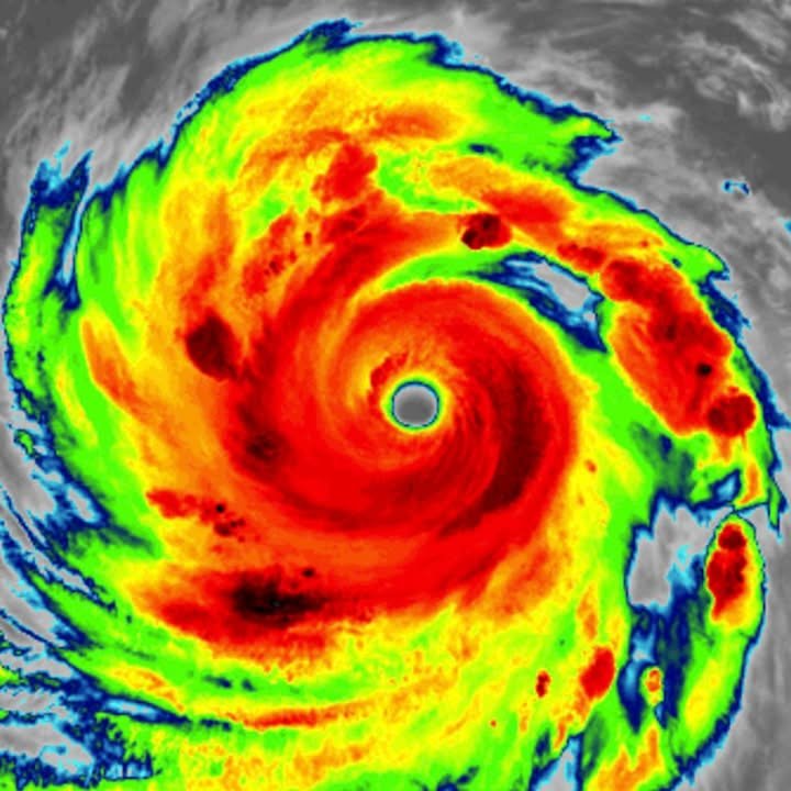
A note from the Kumamoto International Dodge a Bullet Desk: Typhoon Jebi (which is a variation of the name Jeb in English and Hebrew, the latter of which is really good at describing cataclysms) is expected to pound the area between Kyoto and Tokyo from September 3. It’s the strongest storm the Earth has generated yet in 2018. Its unusual trajectory will bring it north of the Japanese archipelago, and as Axios notes, “it could impart enough energy to the North Pacific jet stream to alter the weather pattern across thousands of miles, all the way to the United States.” A good reminder of how close Japan and the US are. - William
A note from the Kumamoto International Dodge a Bullet Desk: Typhoon Jebi (which …