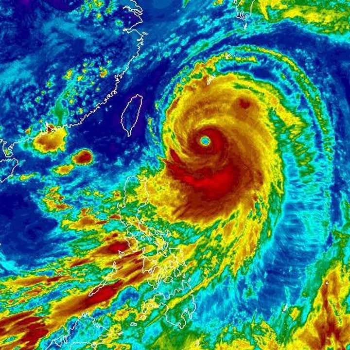
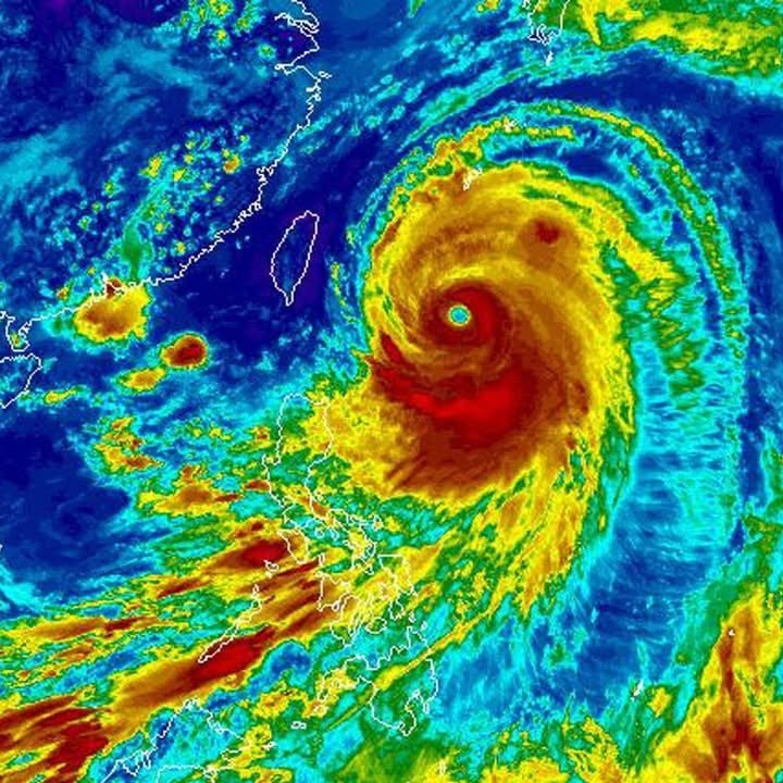
http://www.theguardian.com/world/2014/jul/07/super-typhoon-neoguri-japan-okinawa-islands
http://www.theguardian.com/world/2014/jul/07/super-typhoon-neoguri-japan-okinawa… July 7, 2014 at 12:16 JST 2014 http://www.theguardian.com/world/2014/jul/07/super-typhoon-neoguri-japan-okinawa-islands Super-typhoon Neoguri approaches Japan's Okinawa islandsSuper-typhoon Neoguri, with gusts of up to 270km per hour, expected to hit southernmost subtropical island chain early Tuesday, possibly reaching mainland Japan by Wednesday https://l.facebook.com/l.php?u=https%3A%2F%2Fwww.theguardian … ↗ View original post on Facebook For a link to the original post on Facebook, open this page on a computer. ← 2014-07-07 12:15 JST 2014-07-07 12:17 JST → Around this time … 2014-07-08 00:46 JSTGood news! According to this, when the typhoon hits … 2014-07-08 00:37 JSTHere's the forecast for the next five days. According to … 2014-07-07 12:21 JST"In Kyushu, parts of Nagasaki, Kumamoto and Kagoshima … 2014-07-07 12:17 JSThttp://voiceofrussia.com/news/2014_07_06/Red-alert-for-Japan … 2014-07-07 12:23 JST"Evacuation of 87,000 people was announced in Kumamoto … 2014-07-07 12:16 JSThttp://www.theguardian.com/world/2014/jul/07/super-typhoon-n … (this post) 2014-07-07 12:15 JSTThis image is from the following site: 2014-07-07 02:38 JSTThis came from the city: 2014-07-07 00:20 JSTThis table is the best source I have been able to find so … 2014-07-06 23:05 JSTI won't try to explain what each of the colors and the … 2014-07-06 22:40 JSTHere's the current warning levels for Amakusa (via Google …